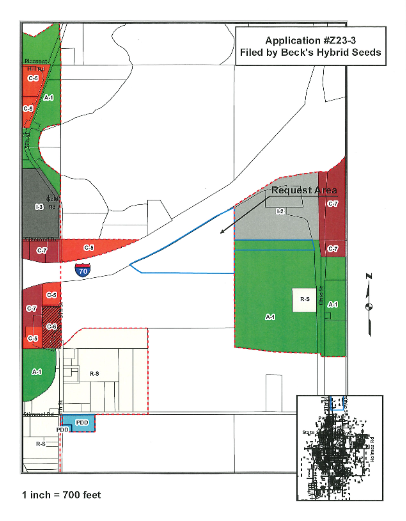
At Monday's City Commission Meeting, Commissioners discussed an application filed by Beck's Hybrid Seeds, requesting a change in zoning district classification from A-1 (Agricultural) to I-2 (Light Industrial) to allow construction of a sales office and warehouse space. The rezoning request area is a 23.92 acre tract of land located on the west side of North Ohio Street south of 1-70, directly south and west of Foley Equipment Company.
BACKGROUND:
In 2022, Beck's Seeds entered into a contract to purchase a 15 acre tract of land on the west side of North Ohio Street from DK Farm and Ranch, LLC (Jeff Thompson). Beck's filed applications to rezone and plat this 15 acre tract to allow construction of a new building to serve as a sales office and warehouse space for their Salina operation. They requested that their proposed platted building lot be zoned 1-2 (Light Industrial). This 15 acre tract on the west side of North Ohio Street is located in the North Ohio Corridor Overlay District which required that Beck's site plan and building plans be reviewed and approved by the City Planning Commission prior to issuance of a building permit. They submitted companion applications requesting approval of a site plan for their proposed facility and a preliminary plat of their proposed 15 acre building lot.

After continuing the public hearing on this application several times to allow negotiations with the Ward family to come to a conclusion, the Planning Commission reopened the public hearing on this rezoning request on March 7, 2023. At the March 7th meeting, following presentation of the staff report and comments from the applicant's representative, Jeff Maes, the Planning Commission voted 6-0 to recommend approval of the applicant's request for 1-2 zoning subject to satisfactory platting of the property. The Planning Commission recommendation was based on the following findings:
1. Because of its distance from Interstate 70, this site is more suitable for light industrial uses than interstate oriented commercial uses.
2. The subject site is adjacent to 1-2 zoned property on the north and a change to 1-2 zoning with the overlay district restriction would be compatible with surrounding commercial and industrial development.
3. Public utilities are available and can be extended to the proposed building site making it suitable for urban development.
4. The subject property is within the City's Urban Service Area and based on the plans submitted by the applicant the requested zoning change would conform with the Comprehensive Plan's goal of enhancing the North Ohio Street entryway into the community.

At the March 7th meeting the Planning Commission also approved the proposed site plan and building elevation drawings for Beck's 96,000 sq. ft. facility to be located in the northwest corner of the site and a preliminary plat of the Beck's Addition a one lot plat.

The Salina City Commission approved an ordinance (Ordinance No. 23-11150) rezoning this 15 acre tract of land to 1-2 (Light Industrial) on March 27, 2023 subject to final platting of the property.

Beck's Hybrid Seeds was able to reach agreement with the Ward Family Trust and now has a contract to purchase 35.23 acres of the Wards property, 19.80 acres of which they are proposing to annex, rezone and plat. Beck's has filed amended applications to rezone and plat a 23.92 acre development site/ platted building lot which includes 4.12 acres they are purchasing from DK Farm and Ranch. This 150 ft. wide strip of land provides access from the Ward Trust property (the proposed building site) out to Ohio Street.

The DK Farm and Ranch site was annexed into the city in 2001. The Ward Trust property must be annexed into the city limits.
Nature of Current Request
Beck's Hybrid Seeds originally filed an application to rezone and plat a 15 acre tract along the west side of North Ohio Street south of Foley Equipment to allow construction of a new building to serve as a sales office and warehouse space for their Salina operation. Beck's now has a contract to purchase a 35.23 acre tract of land directly west of Foley Equipment Co. fronting on 1-70 where they are now proposing to locate their new facility. Beck's Hybrid Seeds has filed amended applications to annex a portion of this 35.23 acre tract into the city and rezone and plat 19.80 acres of this property instead. They are requesting that their platted building lot be zoned 1-2 (Light Industrial). The rezoning request area extends out to Ohio Street to allow the building site to have access from Ohio Street. No public street extension is being proposed, just a private driveway connecting to North Ohio Street.

On November 5, 2001, the City Commission initiated the North Ohio Utility Improvements project, which extended water and sewer service to properties in the vicinity of the Ohio Street/ 1-70 interchange. The Foley Addition and the property owned by H-M Olathe, LLC (site of Kenworth Truck Repair) northeast of the Beck's site were annexed into the city and were included in the 140 acre benefit district created for this improvement project. This water and sewer extension project was completed in 2003.

In 2002, KDOT finalized design plans for a new Ohio Street bridge over 1-70. In order to allow the existing bridge to remain in service, KDOT's designed called for construction of a new bridge 150 ft. west of the existing bridge. As a result of the need to realign Ohio Street with the new bridge, KDOT acquired property from Foley Equipment and H-M Olathe, LLC. The Foley taking virtually eliminated two outlets in front of Foley Equipment and the Kenworth site was reduced in size from 5.2 acres to 1.7 acres, losing the East 280 ft. of their property.
On July 18, 2017 the Salina City Planning Commission approved a final site development plan and building design plans for a Foley Tractor Sale and Service facility located on Lot 1 of the Replat of Foley Addition and addressed as 2225 North Ohio Street. This 36,000 sq. ft. facility is complete and operational.
The 19.80 acre portion of the Ward Trust property that is the subject of this rezoning request was not part of the 2001 island annexation directly south of 1-70 along North Ohio and therefore was not part of the North Ohio Utility Improvements project benefit district that extended utilities service (water and sanitary sewer) to properties in the vicinity of the Ohio Street/ 1-70 interchange. As a result, the Beck's site may be assessed a separate frontage fee (to be determined by the Director of Utilities) to hook up to the utilities that have been extended to the Ohio Street/ 1-70 interchange area. The DK Farm and Ranch portion of the rezoning request area was included in the benefit area.
Staff met with representatives of Beck's Hybrid Seeds and determined that based on the nature of their proposed operations and their warehousing space 1-2 (Light Industrial) was the most appropriate zoning classification for their 96,000 sq. ft. facility.
Beck's proposed facility would be used for offices, crop seed sales, research, warehousing space and the storage of vehicles and equipment. Beck's facility and usage would have some similarities to Foley Equipment's facility directly to the north, which is also zoned 1-2. The Zoning Administrator and Beck's representatives concluded that 1-2 zoning would provide Beck's with the greatest flexibility to conduct their operations. The test plots surrounding their building site would retain their Agricultural zoning.
In the meeting between Planning staff and Beck's design team to discuss this alternate site, staff pointed out that the original building site was entirely located in the North Ohio Corridor Overlay District but was not in the mapped 100 year flood plain. The new proposed site is partially in the mapped 100 year flood plain but is not located within the North Ohio Corridor Overlay District (staff noted that the strip of land containing the driveway approach off of Ohio Street is still within the overlay district but the developable portion of the lot is not). The 100 year (Base) Flood Elevation for the new building site is 1,216 ft. If the City Commission is concerned about extending the overlay district development standards to the new development site it would have the discretion to initiate an extension of the overlay district boundaries to include the annexation area.
Suitability of the Site for Development Under Existing Zoning
The subject property would have 153 ft. of frontage on North Ohio Street, a major entryway into the city. The north edge of the property is 1,050 ft. south of 1-70. While this property is suitable for interstate oriented commercial development, the applicant believes it is a prime location for their hybrid seed facility due to its proximity to 1-70 and the flat agricultural land in the vicinity. This northern portion of the North Ohio corridor was identified as being suitable for future commercial development in the City's Future Land Use Plan because it is located in the mapped 100-year flood plan and not the 100-year floodway for Mulberry Creek. New development is generally prohibited in the floodway, but new building construction can occur in the flood plain if the building site is elevated at least one ft. above the 100-year flood elevation. The Ward property was shown as a Conservation Area because it had no access to Ohio Street and was ΒΌ mile away from public utilities. It was not viewed as likely to be developed. Staff noted that a majority of the Ward property will be used for agricultural test plots which is a use encouraged within Conservation Areas.
Ohio Street is a four lane road at the proposed driveway entrance but tapers down to a two lane road farther south with no turn lanes, this location is not suitable for a high traffic generating use with frequent turning movements such as a truck stop or travel plaza. It is suitable for development with uses with lower traffic volumes. Given the water and sanitary sewer improvements made in this area and the improvements to the Ohio Street and 1-70 interchange, the applicant believes that the current Saline County AG and A-1 zoning of the site inhibits development of this site compared to similarly situated property on the west side of North Ohio Street- Foley Equipment and Kenworth both of which are zoned 1-2.
Character of the Neighborhood
The request area has direct access to a major transportation corridor as well as a gateway into the community from 1-70. Existing development in this portion of the North Ohio Corridor consists of service and retail uses including the Flying J Travel Plaza at the southeast corner of the interchange, the vacant Harley-Davidson building south of Flying J and the Kenworth truck service and repair facility and Foley Equipment on the west side of Ohio. Existing uses cater to large trucks and are large-scale in nature. The City of Salina has identified this as a Primary Service Area / Growth Area for the extension of City utilities and services. A 140-acre water and sewer benefit district was created in 2001 to facilitate commercial development in this area. The C-7 (Highway Commercial) zoning for Flying J and the vacant Harley-Davidson building is consistent with this vision, but the 1-2 zoning on the Kenworth/Foley site is not. Concerns about the appearance of the North Ohio Street entryway into the community were addressed through the adoption of an overlay district along North Ohio.
Because of concerns about the appearance of industrial uses along the North Ohio Street gateway into Salina and the lesser development standards in industrial zoning districts compared to commercial districts, a North Ohio Gateway Overlay District was created and adopted by the City Commission on January 8, 2007. The overlay district sets out front yard landscaping and parking lot surfacing requirements that are over and above the requirements of the underlying zoning district. The overlay district also regulates exterior building materials and outdoor storage and display. These overlay district standards lessened the concern about having industrial zoning and uses along the North Ohio corridor.
However, the proposed Beck's Seed property is located just outside (west of) the North Ohio Gateway Overlay District. This means that while all of the surrounding properties currently located within the city limits are subject to the North Ohio Gateway Overlay District development standards which includes required parking lot paving, front yard landscaping and exterior building standards, the Beck's Seeds development would not be subject to any of these standards. Instead, the new Beck's location would be subject to the standard 1-2 zoning district regulations which do not require parking lot paving, front yard landscaping or and which do not have any exterior building elevation standards. Staff noted that the proposed Beck's Seeds building would be located approximately 1,475 ft. west of North Ohio Street, which is why the proposed property is not located within the North Ohio Gateway Overlay District. The building would be oriented toward 1-70 and not Ohio Street. To the best of staff's knowledge, Beck's is proposing to build the same facility presented to and approved by the Planning Commission but in a different location with a different orientation. However, as noted above, the City Commission has the authority to initiate an extension of the overlay district boundary if it wishes to ensure that the new site is subject to the overlay district development standards.
Both of the Kenworth Truck Service Center and Foley Equipment sites on the west side of North Ohio are zoned 1-2. Approval of 1-2 zoning for the 23.92-acre Beck's Seeds site could be seen as compatible with the zoning and uses of nearby property on the west side of Ohio Street and a logical extension of the 1-2 zoning and development pattern.
Conformance with the Comprehensive Plan
While the Future Land Use Map in the Comprehensive Plan shows the area around the 1-70 and North Ohio Street interchange being part of a Commercial land use area, the bulk of the proposed Beck's Seeds property is located outside the current city limits where the Future Land Use Map shows the area being part of a Conservation land use area. This means that any rezoning of the site to anything other than A-1 (Agricultural) or R-S (Single-Family Residential Suburban) would be incompatible with potential zoning districts associated with the Conservation land use category.
The Comprehensive Plan states that the "Conservation land use category represents those areas of Salina and adjacent unincorporated Saline County in which development should not be encouraged. The conservation designation generally follows the mapped 100 year floodplain area within and adjacent to Salina without levee protection. Development should not be encouraged for numerous reasons, most notably, to protect natural resources or environmental elements and/or because of the lack of infrastructure availability now or in the future. The extension of infrastructure including water, sewer and streets to these areas can be expensive and development will not occur in an urban form."
Because the requested 1-2 (Light Industrial) zoning district is not compatible with the Conservation land use designation, in order for Beck's Seeds proposed use of the property as a warehouse site, property to be compatible with, the Future Land Use Map, the Map should amended to reflect the proposed Beck's Seeds property having an Employment land use designation. The Planning Commission, while supportive of Beck's alternate site, recognized this and has initiated a follow up land use map amendment to look at changing the future land use classification of the west side of North Ohio Street. The Planning Commission will conduct a public hearing on the Future Land Use Map on August 1, 2023 and its recommendation should be brought to the City Commission prior to final consideration of Beck's rezoning request.
The Employment land use designation is most appropriate for light industrial uses typically related to warehousing, distribution, fabrication and parts assembly and rely on large land areas and large single story buildings. Uses allowed in the Employment land use category should meet the following criteria:
Location Criteria:
- Uses should be located in proximity to support services with good access to major arterials, truck route, belt highways, utility trunk lines, along railroad spurs, near airports, and as extensions of existing industrial uses.
- Traffic from this category of land use should not feed directly onto local streets in residential areas.
- Uses should be generally located away from existing or planned residential areas or at a minimum provide buffers from residential uses.
Development Criteria:
- Cross access easements should be required to reduce the trips on the arterial street network between uses.
- Transitions between industrial development and less intense adjacent uses and neighborhoods should minimize the impacts of noise, light, traffic, operations and intensity of the industrial uses.
Based on the location and the reduction of the mapped flood plain area on the Ward property since the Comprehensive Plan was adopted in 2010, the Planning Commission found that the Employment land use category was a more appropriate future land use designation for the Beck's seeds property than the 2010 Conservation Area designation. The Planning Commission has initiated a follow up Future Land Use Map amendment, to reflect that but staff noted that there is no legal requirement that a zoning change conform with the Future Land Use Map if other findings can be made in support of the zoning change.
Staff noted that while the Kenwood truck service center, Foley Equipment and the proposed Beck's Seeds facility are not retail commercial uses they are service uses that serve the surrounding region, and although the underlying zoning on the west side of North Ohio Street is 1-2 (Light Industrial), Kenworth, Foley Equipment and the proposed Beck's Seeds facility are service businesses that serve the surrounding region and are more commercial in character and appearance than industrial. Due to the distance (over 1,200 ft.) from North Ohio Street, there is less concern about having industrial zoning on the Beck's alternate site.
One of the reasons for the current Conservation designation on the Ward property is its location in the flood plain of Mulberry Creek. Staff would note that the AE flood zone (100 year flood plain) encroaches onto a portion of the proposed Beck's Seeds building site. This means that Beck's Seeds would need to elevate their building pad so that the lowest floor elevation of the proposed building is at least one ft. above the Base Flood Elevation (BFE).
The Planning Commission based its recommendation on a finding that the existing Future Land Use Map should be amended to show the 19.80 acre Beck's Seeds property currently outside the city limits as having an Employment land use designation instead of the current Conservation land use designation.
Planning Commission Recommendation
The Salina City Planning Commission conducted a public hearing on this rezoning application on June 20, 2023. Following presentation of the staff report, comments from Jeff Maes, representing Beck's and comments and questions from Commission members, the Planning Commission voted 6-0 to recommend that the Zoning Map of the City of Salina be amended to change the zoning classification of this 23.92 acre site from Saline County AG and A-1 (Agricultural) to 1-2, as requested by the applicant, subject to satisfactory platting of the property.
The Planning Commission also voted 6-0 to approve Beck's Hybrid Seeds preliminary plat for this property (Becks Addition).
As a follow up action, the Planning Commission directed staff to initiate a future Land Use Map amendment to show the west side of North Ohio Street as an Employment Area instead of a future Commercial and Conservation Area. This proposed amendment will be considered at the Planning Commission's August 1, 2023 meeting.
FISCAL NOTE:
There will be no direct fiscal impact on the City as a result of this zoning action.
The vote passed 2-1, with Commissioner Longbine dissenting.