In Monday's City Commission Meeting, Commissioners deliberated on a request to authorize City staff for the preparation of a Special Assessment Engineering Feasibility Report concerning Phase II of Lakeview Estates Addition No. 2 and Lakeview Estates Addition No. 3.
Background:
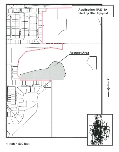
The proposal seeks special assessment financing for internal subdivision enhancements in Phase II of Lakeview Estates Addition No. 2 and Lakeview Estates Addition No. 3, situated on the east side of South Ohio Street, between Magnolia Road and Schilling Road, south and east of the Knox sandpit lake. The request, the initial phase of a two-step special assessment financing process, focuses on authorizing staff to create an engineering feasibility report, not the establishment of a benefit district.
The residential subdivision process involves several steps:
- Zoning
- Preliminary and final platting
- Infrastructure design plans preparation
- City Commission authorization for special assessment financing and feasibility report preparation (Step 1)
- City Commission approval of a benefit district petition and authorizing resolution (Step 2)
- Construction of streets and utility lines
Unlike Holmes Road and Markley Road, South Ohio Street, the direct access perimeter street serving Lakeview Estates, meets City street standards. Hence, the proposed benefit district pertains only to internal subdivision improvements.

The Planning Commission's November 2, 2021 meeting approved the final plat of Lakeview Estates Addition No. 2, subject to certain conditions. The City Commission's November 22, 2021 meeting saw the approval of an ordinance rezoning the area west of the sandpit lake.
Recent Developments:
Phase I of Lakeview Estates Addition No. 2, serving the Cedarhurst Senior Living facility, received special assessment financing approval in 2022, with infrastructure now completed.

On July 18, 2023, the Planning Commission reviewed the proposed final plat of Lakeview Estates Addition No. 3, approving it with conditions. The City Commission's August 7, 2023 meeting granted final approval to ordinances annexing the tract into the city and rezoning the 15 proposed building lots to R-2 (Multi-Family Residential). Special assessment resolutions for previous phases in the area were noted.
Stan Byquist's Request:
Developer Stan Byquist, having platted the Lakeview Estates property around the sandpit lake, seeks City Commission approval for special assessments to finance public improvements necessary for the development of Phase II of Lakeview Estates No. 2 and Lakeview Estates No. 3. This Step 1 application aligns with the City's Special Assessment Policy.

Over the past three years, the City Commission has sanctioned special assessment financing for various developments, including Magnolia Hills Estates Addition No. 2 Phase II, Phase II of Cedar Ridge Addition, Cedar Point Addition, Phases 3a, b, and c in the Stone Lake Addition, and recently, Step 1 approval for Phase II of Wheatland Valley Addition and Phases I and II of Stone Lake Addition No. 2.
Review Factors:
The City's evaluation of the proposed improvement district includes considerations such as capital costs, additional public improvements, market prices of developed lots, projected housing sales rates, acceptance of new housing products in the market, special assessment ratios, and more.
The petitioner's engineer estimates a total cost of $1.8 million for Phase II of Lakeview Estates No. 2 and Lakeview Estates No. 3. Factors like market prices, projected sales rates, and the acceptance of housing products in the Salina market are pending further information from the developer.
Connectivity and Housing Study Goals:
Lakeview Estates Addition No. 2 and No. 3 are designed with connectivity to Ohio Street and emergency access routes. The proposed housing aligns with the City's goals for price points, contiguity, density, form, innovation, and reinvestment, as outlined in the housing study.
Debt and Financial Management:
City policy considers maintaining an appropriate level of indebtedness. Financing for all Lakeview Estates improvements would have minimal impact on the City's total net debt, keeping it within the 37% debt limit usage.
Available Residential Building Lots:
The City currently has vacant buildable lots in various subdivisions. The proposed Lakeview Estates development is in line with the City's efforts to address housing needs.
Fiscal Note:
Special assessment financing involves municipal bonds issuance, with the City at 36% of its debt limit as of December 31, 2022. The proposed addition would raise it to 37%.
In conclusion, the City Commission, in a 4-0 vote (with Mayor Hoppock recused), approved the motion to authorize staff for the preparation of an engineering feasibility report and Resolution of Advisability for Phase II of Lakeview Estates Addition No. 2 and Lakeview Estates No. 3, setting the stage for future consideration by the City Commission.